«Τελευταία ευκαιρία να προστατεύσετε τη ζωή σας»
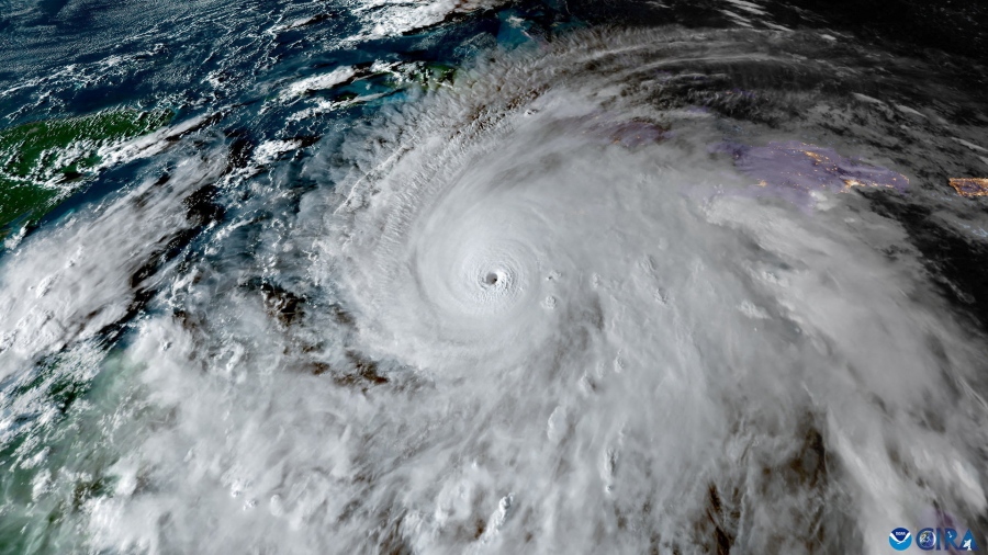
Με ανέμους που αγγίζουν τα 300 χιλιόμετρα την ώρα πλησιάζει την Τζαμάικα ο τυφώνας «Melissa», προειδοποιεί το Εθνικό Κέντρο Τυφώνων των ΗΠΑ.
Η ένταση των ανέμων καθιστά τη Melissa τη δεύτερη ισχυρότερη καταιγίδα στην ιστορία του Ατλαντικού, μετά τον τυφώνα Allen του 1980, ο οποίος είχε φτάσει τα 305 χιλιόμετρα την ώρα.
Οι Αρχές προειδοποιούν τους κατοίκους να καταφύγουν άμεσα σε ασφαλή καταφύγια και να τοποθετήσουν όσο το δυνατόν περισσότερους τοίχους ανάμεσα στους ίδιους και τον εξωτερικό χώρο. «Αυτή είναι η τελευταία ευκαιρία να προστατεύσετε τη ζωή σας» αναφέρεται χαρακτηριστικά στην ανακοίνωση του Κέντρου.
Ο Evan Thomson, διευθυντής της Μετεωρολογικής Υπηρεσίας της Τζαμάικα, λέει ότι ο τυφώνας θα προκαλέσει «απειλητικές για τη ζωή ζημιές» όταν φτάσει. «Είναι πολύ λίγα τα πράγματα που μπορούν να σταματήσουν έναν τυφώνα κατηγορίας 5» λέει, προσθέτοντας ότι η καταιγίδα απέχει περίπου 75 χιλιόμετρα (46 μίλια) από την άφιξή της. Ανέφερε επίσης ότι ο τυφώνας είναι πιθανό να φτάσει στην ξηρά στο Westmoreland ή στο St Elizabeth, στη δυτική ακτή της Τζαμάικα, προτού σταδιακά εξασθενήσει στην κατηγορία τέσσερα καθώς θα διασχίζει το νησί.
www.bankingnews.gr
Η ένταση των ανέμων καθιστά τη Melissa τη δεύτερη ισχυρότερη καταιγίδα στην ιστορία του Ατλαντικού, μετά τον τυφώνα Allen του 1980, ο οποίος είχε φτάσει τα 305 χιλιόμετρα την ώρα.
Οι Αρχές προειδοποιούν τους κατοίκους να καταφύγουν άμεσα σε ασφαλή καταφύγια και να τοποθετήσουν όσο το δυνατόν περισσότερους τοίχους ανάμεσα στους ίδιους και τον εξωτερικό χώρο. «Αυτή είναι η τελευταία ευκαιρία να προστατεύσετε τη ζωή σας» αναφέρεται χαρακτηριστικά στην ανακοίνωση του Κέντρου.
Ο Evan Thomson, διευθυντής της Μετεωρολογικής Υπηρεσίας της Τζαμάικα, λέει ότι ο τυφώνας θα προκαλέσει «απειλητικές για τη ζωή ζημιές» όταν φτάσει. «Είναι πολύ λίγα τα πράγματα που μπορούν να σταματήσουν έναν τυφώνα κατηγορίας 5» λέει, προσθέτοντας ότι η καταιγίδα απέχει περίπου 75 χιλιόμετρα (46 μίλια) από την άφιξή της. Ανέφερε επίσης ότι ο τυφώνας είναι πιθανό να φτάσει στην ξηρά στο Westmoreland ή στο St Elizabeth, στη δυτική ακτή της Τζαμάικα, προτού σταδιακά εξασθενήσει στην κατηγορία τέσσερα καθώς θα διασχίζει το νησί.
www.bankingnews.gr
Σχόλια αναγνωστών