Ισχυροί άνεμοι που πνέουν με ταχύτητα 215 χλμ την ώρα
Σε κατάσταση έκτακτης ανάγκης κήρυξε ο Αμερικανός πρόεδρος Ντόναλντ Τραμπ την Πολιτεία της Χαβάης, αποδεσμεύοντας έτσι ομοσπονδιακά κεφάλαια από την Ομοσπονδιακή Υπηρεσία Εκτάκτων Αναγκών (Fema), πριν από την επέλαση του τυφώνα Lane στο αρχιπέλαγος, ανακοίνωσε ο Λευκός Οίκος.
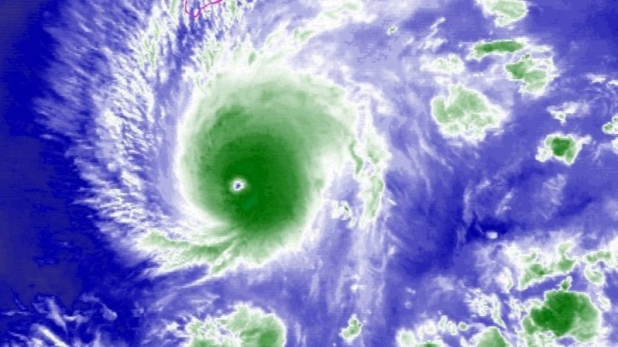
Σύμφωνα με το τελευταίο δελτίο του εθνικού κέντρου τυφώνων του Ειρηνικού (CPHC) που δόθηκε στη δημοσιότητα ο τυφώνας Lane βρισκόταν 370 χλμ από την ακτή Καϊλούα-Κόνα (δυτικά του κύριου νησιού) και 540 χιλιόμετρα από τη Χονολουλού, πρωτεύουσα της Χαβάης.
Με ισχυρούς ανέμους οι οποίοι πνέουν με ταχύτητα 215 χλμ την ώρα, ο Lane βρίσκεται νότια του αρχιπελάγους και κατευθύνεται βορειοδυτικά.
Ο Αμερικανός πρόεδρος κάλεσε την Τετάρτη (22/8) τους κατοίκους του νησιού να ετοιμάζονται για την επέλαση αυτής της ιδιαίτερα ισχυρής καταιγίδας, η οποία τώρα βρίσκεται στην κατηγορία 4 της κλίμακας πέντε βαθμών Σαφίρ-Σίμπσον.
Σύμφωνα με τις προγνώσεις, το μάτι του τυφώνα Lane θα περάσει πολύ κοντά από τα νησιά της Χαβάης αργά το απόγευμα της Παρασκευής.
Από σήμερα (23/8) έως και το Σάββατο (25/8) κλειστά θα είναι όλα τα δημόσια σχολεία, το Πανεπιστήμιο της Χαβάης, καθώς και τα μη απαραίτητα κυβερνητικά γραφεία στη νησιωτική αυτή περιοχή η οποία περιλαμβάνει και τα νησιά Oahu και Kauai.
Έπειτα από προειδοποίηση για πιθανές διακοπές ρεύματος οι κάτοικοι άδειασαν στην κυριολεξία τα σούπερ μάρκετ αγοράζοντας από κονσέρβες για σκύλους, μέχρι πάγο και εμφιαλωμένα νερά. Επίσης ουρές αυτοκινήτων σχηματίζονται στα πρατήρια βενζίνης στη Χονολουλού, ενώ αρκετοί βγάζουν από τη θάλασσα στη στεριά μικρές βάρκες προκειμένου να τις προστατεύσουν από την αναμενόμενη θύελλα.
Τα πλοία και τα υποβρύχια του αμερικανικού ναυτικού που σταθμεύουν στη βάση της Χαβάης πήραν εντολή να εγκαταλείψουν το λιμάνι.
Πρόκειται για μία κοινή πρακτική όταν πλησιάζει ένα τυφώνας για την αποφυγή τυχόν ζημιών.
Ο πιο ισχυρός τυφώνας που χτύπησε τη Χαβάη ήταν στις 11 Σεπτεμβρίου 1992 ο τυφώνας Ινίκι, κατηγορίας 4, από τον οποίο έξι άνθρωποι έχασαν τη ζωή τους, ενώ πάνω από 14.000 σπίτια καταστράφηκαν.
www.bankingnews.gr
Σύμφωνα με το τελευταίο δελτίο του εθνικού κέντρου τυφώνων του Ειρηνικού (CPHC) που δόθηκε στη δημοσιότητα ο τυφώνας Lane βρισκόταν 370 χλμ από την ακτή Καϊλούα-Κόνα (δυτικά του κύριου νησιού) και 540 χιλιόμετρα από τη Χονολουλού, πρωτεύουσα της Χαβάης.
Με ισχυρούς ανέμους οι οποίοι πνέουν με ταχύτητα 215 χλμ την ώρα, ο Lane βρίσκεται νότια του αρχιπελάγους και κατευθύνεται βορειοδυτικά.
Ο Αμερικανός πρόεδρος κάλεσε την Τετάρτη (22/8) τους κατοίκους του νησιού να ετοιμάζονται για την επέλαση αυτής της ιδιαίτερα ισχυρής καταιγίδας, η οποία τώρα βρίσκεται στην κατηγορία 4 της κλίμακας πέντε βαθμών Σαφίρ-Σίμπσον.
Σύμφωνα με τις προγνώσεις, το μάτι του τυφώνα Lane θα περάσει πολύ κοντά από τα νησιά της Χαβάης αργά το απόγευμα της Παρασκευής.
Από σήμερα (23/8) έως και το Σάββατο (25/8) κλειστά θα είναι όλα τα δημόσια σχολεία, το Πανεπιστήμιο της Χαβάης, καθώς και τα μη απαραίτητα κυβερνητικά γραφεία στη νησιωτική αυτή περιοχή η οποία περιλαμβάνει και τα νησιά Oahu και Kauai.
Έπειτα από προειδοποίηση για πιθανές διακοπές ρεύματος οι κάτοικοι άδειασαν στην κυριολεξία τα σούπερ μάρκετ αγοράζοντας από κονσέρβες για σκύλους, μέχρι πάγο και εμφιαλωμένα νερά. Επίσης ουρές αυτοκινήτων σχηματίζονται στα πρατήρια βενζίνης στη Χονολουλού, ενώ αρκετοί βγάζουν από τη θάλασσα στη στεριά μικρές βάρκες προκειμένου να τις προστατεύσουν από την αναμενόμενη θύελλα.
Τα πλοία και τα υποβρύχια του αμερικανικού ναυτικού που σταθμεύουν στη βάση της Χαβάης πήραν εντολή να εγκαταλείψουν το λιμάνι.
Πρόκειται για μία κοινή πρακτική όταν πλησιάζει ένα τυφώνας για την αποφυγή τυχόν ζημιών.
Ο πιο ισχυρός τυφώνας που χτύπησε τη Χαβάη ήταν στις 11 Σεπτεμβρίου 1992 ο τυφώνας Ινίκι, κατηγορίας 4, από τον οποίο έξι άνθρωποι έχασαν τη ζωή τους, ενώ πάνω από 14.000 σπίτια καταστράφηκαν.
www.bankingnews.gr
Σχόλια αναγνωστών